David Novo
Contributor
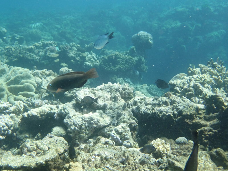
Does anyone have any clue which is the species of the fish on the left of the photo (not the sergeant nor the surgeonfish)? My first guess was some sort of parrotfish but can't identify which.
This was shot in Opal Reef (Great Barrier Reef) in the middle of the day, while snorkeling on June 2019.
P.S. Ignore the quality of the photo: it is just for fish ID purposes.
This was shot in Opal Reef (Great Barrier Reef) in the middle of the day, while snorkeling on June 2019.
P.S. Ignore the quality of the photo: it is just for fish ID purposes.

