Thinking of Roatan for newish divers

Please register or login

Welcome to ScubaBoard, the world's largest scuba diving community. Registration is not required to read the forums, but we encourage you to join. Joining has its benefits and enables you to participate in the discussions.

Benefits of registering include

  • Ability to post and comment on topics and discussions.
  • A Free photo gallery to share your dive photos with the world.
  • You can make this box go away

Joining is quick and easy. Log in or Register now!

Thank you!! You sound very similar to us with more dives, but I like to stay 30 to 60 feet also - I had a 60 feet phobia but got over it!! Roatan sounds perfect! I am going to look at it seriously for next year!

Our Esteemed Chairman once called El Aquila the easiest 100' you'll ever do. And the groupers are cute too.
 
Our Esteemed Chairman once called El Aquila the easiest 100' you'll ever do. And the groupers are cute too.
Why is it the easiest? Thanks!
 
Why is it the easiest? Thanks!

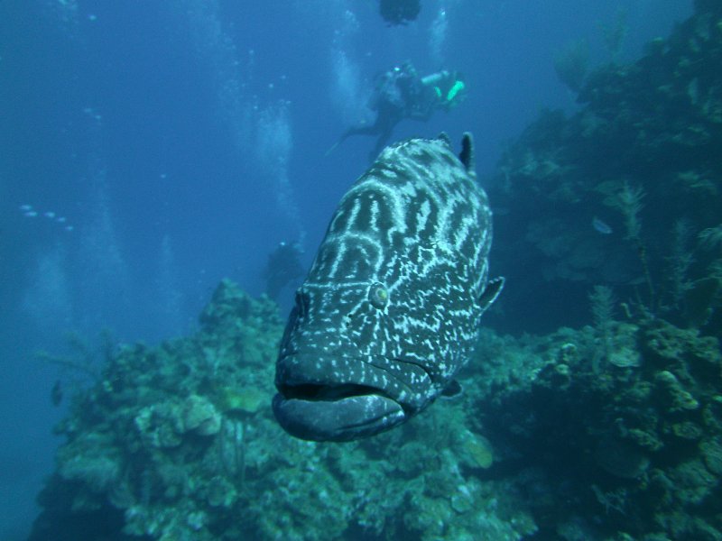
I don't seem to have a big picture... it's wide-open with great visibility, no current, warm water, and lots of these guys:

PICT0747.JPG
 
I am back in Roatan for my 6th trip on the Roatan Aggressor. Easy diving, setup once. Can be more expensive than land base, But the crew and food is good to great. A few steps to the back of the boat and into the pool. Boat has at least one divemaster in the water to point out things and help where needed. You don’t have to follow the divemaster if you want to go your own way.
 
There's a decent diagram of the El Águila wreck and the mooring points here: El Aguila (from Reef Gliders)

I've only dived it the one time - we dropped down to start at the stern at 80 feet, dropped to 100 feet and made our way over to the bow, went up to the top of the mast at 50 feet and then over to the reef, finishing up at the other mooring line at 30 feet. It was as easy as any other dive around Roatan, even for me as a diver with zero experience around wrecks (this was my first).

No groupers - or really much of anything else - around the wreck that day. That definitely would have made it more memorable. Lots of life and nice corals in the reef area that day though.
 
There's a decent diagram of the El Águila wreck and the mooring points here: El Aguila (from Reef Gliders)

I've only dived it the one time - we dropped down to start at the stern at 80 feet, dropped to 100 feet and made our way over to the bow, went up to the top of the mast at 50 feet and then over to the reef, finishing up at the other mooring line at 30 feet. It was as easy as any other dive around Roatan, even for me as a diver with zero experience around wrecks (this was my first).

No groupers - or really much of anything else - around the wreck that day. That definitely would have made it more memorable. Lots of life and nice corals in the reef area that day though.
Thank you for that. I'm not AOW yet so I would just be able to hang around the mast but I should be by then! It sounds fascinating!!
 
Thank you for that. I'm not AOW yet so I would just be able to hang around the mast but I should be by then! It sounds fascinating!!

This is South of the Border, they don't require documento avanzado.
 
You absolutely would not be the first diver without AOW to touch the sand at the wreck. In part because the water is usually so clear ‘newer’ divers and ‘new to warm water’ divers don’t always realize how deep they are.
 

Back
Top Bottom