Cozumel diving today

Please register or login

Welcome to ScubaBoard, the world's largest scuba diving community. Registration is not required to read the forums, but we encourage you to join. Joining has its benefits and enables you to participate in the discussions.

Benefits of registering include

  • Ability to post and comment on topics and discussions.
  • A Free photo gallery to share your dive photos with the world.
  • You can make this box go away

Joining is quick and easy. Log in or Register now!

ah.. there is a reason behind this though :wink: .. country music is never played in our house,I would never play it at home/work/car etc.. we are 100% rock/altrock house/ Floyd/credence/Zeppelin etc...when I was a kid and used to fly to see my parents, first stop from the airport was my dad’s Okie friend ‘naught’ who ran a bar from his house. He always played country and we all had some drinks ( English 16-drinking generally accepted) Now whenever I go on diving trips etc. I play a country. Because my brain 100% knows I am not at home and 100% knows I am on vacation. It’s the only place it’s played..it’s not a vacation until naught’s playlist has been played in the pool with drinks :)
When I am in Mexico I like to listen to Mexican/Latin/Reggae music. It kind of irritates me that so many of the Cozumel restaurants and bars play US music. I guess they do it to make us gringos feel at home, but if I wanted to feel at home, I'd stay there!
 
E76757ED-2B81-4912-BE07-13A440ABF96E.jpeg
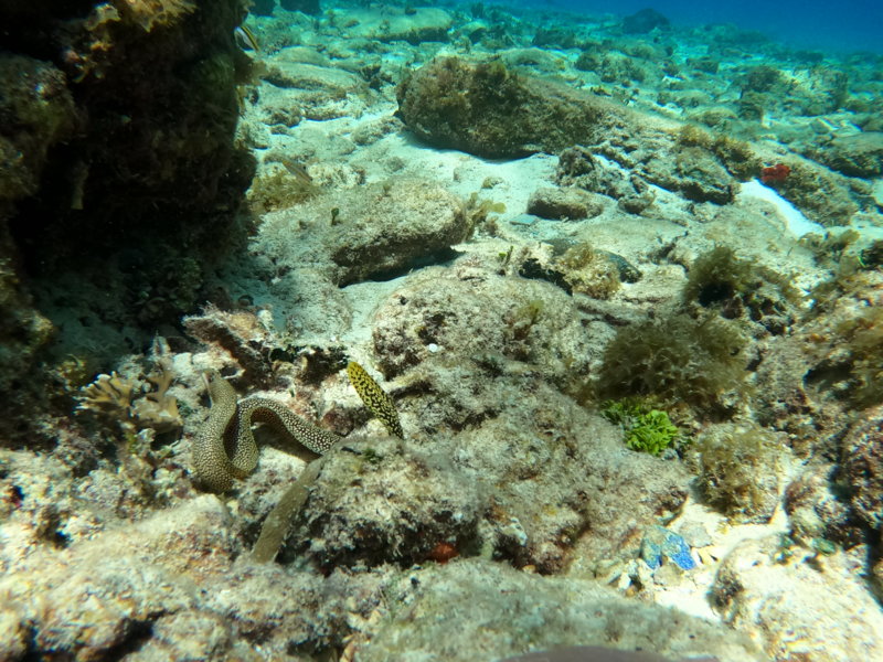
Met this dude shorediving on Saturday morning.
 
View attachment 593987 Met this dude shorediving on Saturday morning.
Awesome pic @Ministryofgiraffes
I am listening to Dream On by Aerosmith while looking at this gorgeous Eel!

Early tomorrow, I am flying from Portland, OR to West Palm Beach, FL and then an 8 day diving stint on the gulf stream coast before 4 days in Key Largo and a return back west from Miami.

Please pray or at least throw up some well wishes that this trip goes well. I didn't anticipate Florida going sideways when I booked this trip. I will post daily updates. Flying American Airlines via Dallas.
 
Awesome pic @Ministryofgiraffes
I am listening to Dream On by Aerosmith while looking at this gorgeous Eel!

Early tomorrow, I am flying from Portland, OR to West Palm Beach, FL and then an 8 day diving stint on the gulf stream coast before 4 days in Key Largo and a return back west

Please pray or at least throw up some well wishes that this trip goes well. I didn't anticipate Florida going sideways when I booked this trip. I will post daily updates. Flying American Airlines via Dallas.

All good here. Please just wear a mask.
 
Awesome pic @Ministryofgiraffes
I am listening to Dream On by Aerosmith while looking at this gorgeous Eel!

Early tomorrow, I am flying from Portland, OR to West Palm Beach, FL and then an 8 day diving stint on the gulf stream coast before 4 days in Key Largo and a return back west from Miami.

Please pray or at least throw up some well wishes that this trip goes well. I didn't anticipate Florida going sideways when I booked this trip. I will post daily updates. Flying American Airlines via Dallas.

Nice that it was a bit cooler today than yesterday, huh? Love this evening - will be able to sleep well tonight.

For a slightly different vibe, Google Dream On Postmodern Jukebox Morgan James.
 
View attachment 594065

not certain if this photo made it. Ministry of Giraffes definitely better, but have been seeing more goldens lately

The concensus on the boat was that we saw more eels than many times before. We recall seeing at least one Green Moray on every dive in addition to many brown spotted eels. We did see quite alot of Goldentail eels and mostly bigger ones. Most eels were biggger with not many small ones but could be dependent on time of year - I am not familiar with reproduction cycles. Great photo of swimming goldentail. I rarely see them out.
 
Back
Top Bottom