@azgetaway
You are lucky to be able to return HK on Tue because it was more or less closed for 24hrs from Wed afternoon because of this super typhoon Ragasa. Typhoon Signal NO. 10 was hosted(second time this yr which is very very rare) and last just over 10hrs.
www.thestandard.com.hk
Philippines has a big escape from this super typhoon, a frontal assault will probably result in hundreds if not more lives lost.
HK is a concrete jungle so strong wind has not much effect except on the window but not the case in Philippines. Thatched roof and house built with native materials would not have a chance to survive in wind speed in excess of 200km.
www.thestandard.com.hk
Best time of the year to dive in Philippines?
Jan to Mar but water will be very cold especially in PG. 18-20C is normal but good chance to see Thresher shark.
I experienced typhoon twice in PG on Boxing Day.
You are lucky to be able to return HK on Tue because it was more or less closed for 24hrs from Wed afternoon because of this super typhoon Ragasa. Typhoon Signal NO. 10 was hosted(second time this yr which is very very rare) and last just over 10hrs.

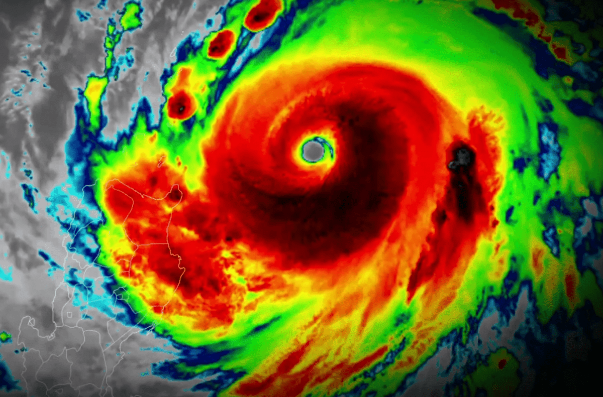
Ragasa becomes most distant typhoon to trigger T10, second longest in post-war history
Super Typhoon Ragasa made meteorological history as it became the first typhoon on record to trigger a No. 10 Hurricane Signal without passing within 100 kilometers of Hong Kong, demonstrating that direct hits are not necessary for extreme impacts.

Philippines has a big escape from this super typhoon, a frontal assault will probably result in hundreds if not more lives lost.
HK is a concrete jungle so strong wind has not much effect except on the window but not the case in Philippines. Thatched roof and house built with native materials would not have a chance to survive in wind speed in excess of 200km.

Typhoon Ragasa's 270km/h winds make it 'world's strongest storm this year'
Super Typhoon Ragasa is threatening Hong Kong with its powerful winds while demonstrating frightening intensity over the Pacific. Canadian climate experts report that satellite monitoring shows Ragasa has sustained winds of 270 km/h, making it the strongest tropical cyclone globally so far in 2025.

Best time of the year to dive in Philippines?
Jan to Mar but water will be very cold especially in PG. 18-20C is normal but good chance to see Thresher shark.
I experienced typhoon twice in PG on Boxing Day.